住宅用土地 長野県岡谷市本町1丁目11-43
- 価格800万円
- 坪単価12.51万円
- 土地面積211.49m2
- 建蔽/容積60%/200%
- 通学区岡谷市立岡谷田中小学校(1570m)
岡谷市立岡谷南部中学校(1960m)
最終更新日 2026年04月10日
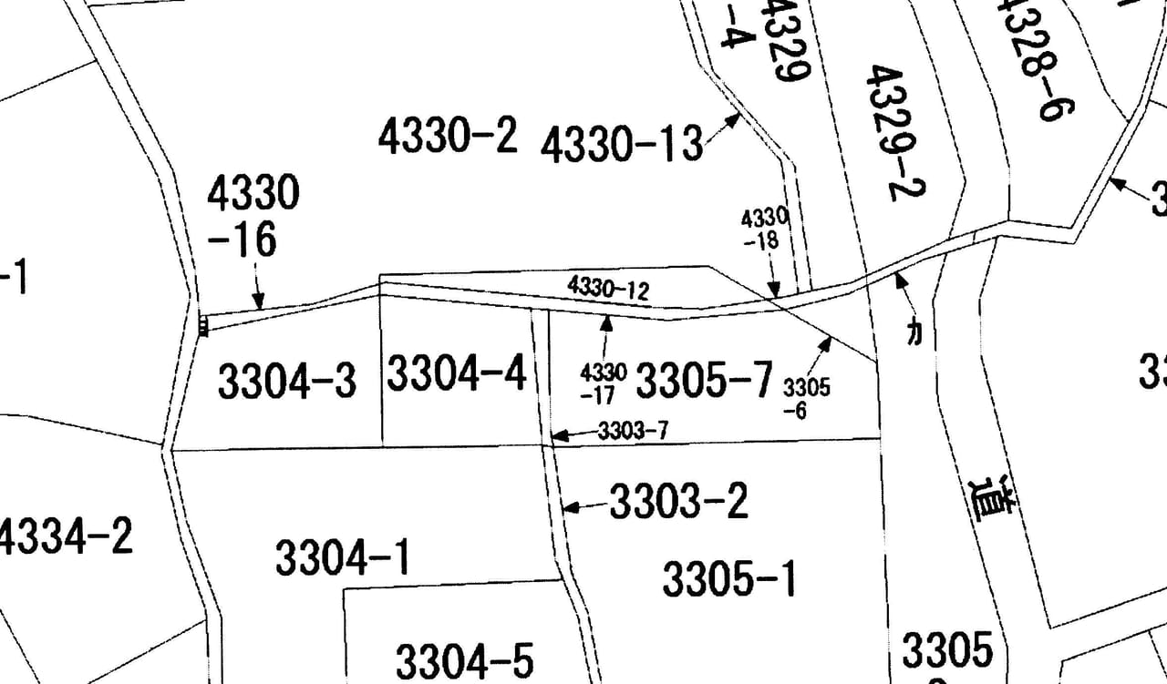
土地家屋調査士に依頼し境界の確定・測量が完了しました。合筆と地積測量図の登記を申請します。上下水道の整備もします。
岡谷不動産商事(有)
0266-22-3296
ココスマを見てとお伝えください
地図・周辺環境
※物件位置が表示されていない場合があります。
また特に外部リンク先のGoogleマップでは、実際とは異なる位置が表示される場合があります。
物件の正確な位置は必ず取扱い会社へお問合せください。
岡谷不動産商事(有)
0266-22-3296
ココスマを見てとお伝えください
物件詳細
| 価格 | 800万円 |
|---|---|
| 坪単価 | 12.51万円 |
| 土地面積 | 211.49m²(実測) / 63.97坪 |
| 所在地 | 岡谷市本町1丁目11-43 |
| 通学区 | 岡谷市立岡谷田中小学校(1570m) 岡谷市立岡谷南部中学校(1960m) |
| 交通 | 電車:中央本線岡谷駅 距離320m 高速道路:長野道 岡谷I.C. 車12分 |
| 備考 | 解体と同時に地中埋設物を試掘します。境界内の塀は土留めを除いて撤去します。伐採伐根も致します。 |
| 都市計画 | 非線引区域 |
| 用途地域 | 1種住居 |
| 地目 | 宅地 |
| 建蔽率 | 60% |
| 容積率 | 200% |
| 下水 | 公共下水道 |
| 最適用途 | 住宅用土地 |
| 土地権利 | 所有権 |
| 接道状況 | 方角:東 道路幅員:5.8m 公私区分:公道 接面:4.58m |
| 設備 | 上水道・下水道 |
| 取引態様 | 専任媒介 |
| 手数料 | 手数料必要 |
| 引渡し/入居日 | 相談 |
| 物件番号 | 449402 |
| 最終更新日 | 2026-04-10 |















