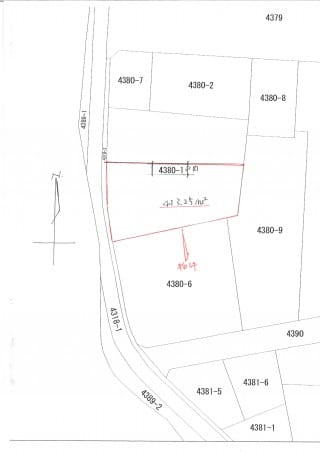
住宅用土地 長野県諏訪郡下諏訪町西赤砂4380-1の内
- 価格1625万円
- 坪単価13万円
- 土地面積413.25m2
- 建蔽/容積60%/200%
最終更新日 2025年11月21日
住居・事務所向き宅地
(有)下諏訪不動産
0266-27-7531
ココスマを見てとお伝えください
地図・周辺環境
※物件位置が表示されていない場合があります。
また特に外部リンク先のGoogleマップでは、実際とは異なる位置が表示される場合があります。
物件の正確な位置は必ず取扱い会社へお問合せください。
(有)下諏訪不動産
0266-27-7531
ココスマを見てとお伝えください
物件詳細
| 価格 | 1625万円 |
|---|---|
| 坪単価 | 13万円 |
| 土地面積 | 413.25m² / 125坪 |
| 所在地 | 諏訪郡下諏訪町西赤砂4380-1の内 |
| 備考 | 現況:更地 |
| 用途地域 | 1種住居 |
| 地目 | 宅地 |
| 建蔽率 | 60% |
| 容積率 | 200% |
| 土地権利 | 所有権 |
| 接道状況 | 方角:西 道路幅員:5m 公私区分:公道 |
| 設備 | プロパンガス・上水道・下水道・電気 |
| 取引態様 | 一般媒介 |
| 引渡し/入居日 | 相談 |
| 物件番号 | 447463 |
| 最終更新日 | 2025-11-21 |














