中古住宅 長野県岡谷市湊3丁目3125番 他
- 価格750万円
- 土地面積1193.48m2
- 間取5LDK
- 建物面積339.93m2
- 通学区岡谷市立湊小学校(150m)
岡谷市立岡谷南部中学校(1300m)
最終更新日 2026年04月07日
(株)ライフサービスオグチ
0266-27-4820
ココスマを見てとお伝えください
地図・周辺環境
※物件位置が表示されていない場合があります。
また特に外部リンク先のGoogleマップでは、実際とは異なる位置が表示される場合があります。
物件の正確な位置は必ず取扱い会社へお問合せください。
(株)ライフサービスオグチ
0266-27-4820
ココスマを見てとお伝えください
物件詳細
| 価格 | 750万円 |
|---|---|
| 土地面積 | 1193.48m²(公簿) / 361.02坪 |
| 建物面積 | 339.93m² / 102.82坪 |
| 間取 | 5LDK |
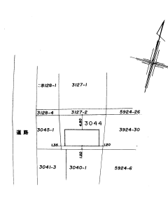
| 所在地 | 岡谷市湊3丁目3125番 他 (岡谷市湊3丁目3123番、3126番1、3044番、3045番1、5924番6、5924番28、5924番29、5924番30) |
| 通学区 | 岡谷市立湊小学校(150m) 岡谷市立岡谷南部中学校(1300m) |
| 交通 | 電車:中央本線岡谷駅 距離3200m 高速道路:中央道 諏訪湖スマートI.C. 車5分 |
| 備考 | 居宅と道向かいの作業場のセットとなります。土砂災害警戒区域(イエローゾーン)、一部特別警戒区域(レッドゾーン)に該当します。建築基準法第22条指定区域。 |
| 建物構造 | 木造 |
| 建物概要 | 地上2階 |
| 駐車場 | 有 |
| 下水 | 公共下水道 |
| 完成年月日 | 1980年9月 |
| 土地権利 | 所有権 |
| 接道状況 | 方角:東 道路幅員:7.9m 公私区分:公道 |
| 取引態様 | 一般媒介 |
| 手数料 | 手数料必要 |
| 引渡し/入居日 | 相談 |
| 物件番号 | 451878 |
| 最終更新日 | 2026-04-07 |
















