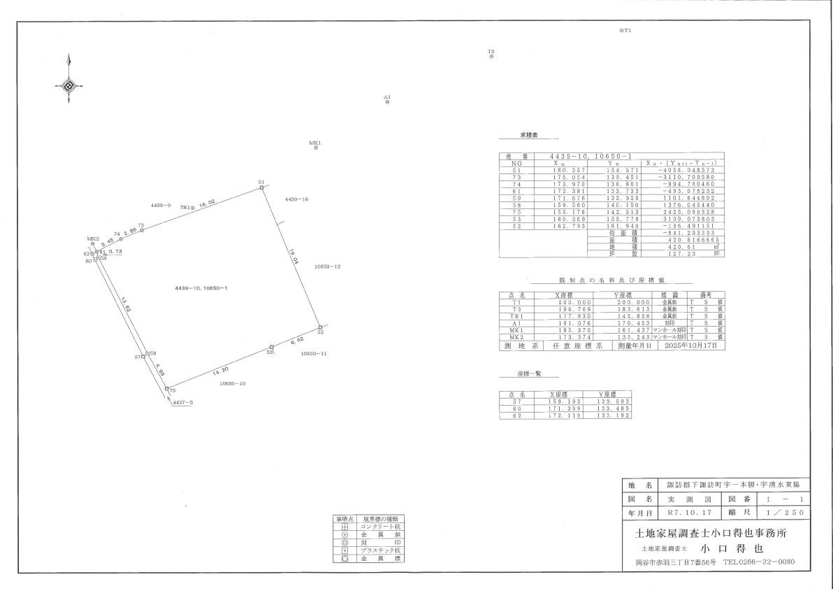
住宅用土地 長野県諏訪郡下諏訪町西赤砂10650-1 西赤砂売地
- 価格1272万円
- 坪単価10万円
- 土地面積420.61m2
- 建蔽/容積60%/200%
- 通学区下諏訪町立下諏訪南小学校(1300m)
下諏訪町立下諏訪中学校(1800m)
最終更新日 2026年04月05日
徒歩圏内にスーパー・コンビニがあり比較的利便性・住環境の良いところです
(株)東洋開発
0266-27-5200
ココスマを見てとお伝えください
地図・周辺環境
※物件位置が表示されていない場合があります。
また特に外部リンク先のGoogleマップでは、実際とは異なる位置が表示される場合があります。
物件の正確な位置は必ず取扱い会社へお問合せください。
(株)東洋開発
0266-27-5200
ココスマを見てとお伝えください
物件詳細
| 価格 | 1272万円 |
|---|---|
| 坪単価 | 10万円 |
| 土地面積 | 420.61m²(実測) / 127.23坪 |
| 所在地 | 諏訪郡下諏訪町西赤砂10650-1 |
| 分譲地名 | 西赤砂売地 |
| 通学区 | 下諏訪町立下諏訪南小学校(1300m) 下諏訪町立下諏訪中学校(1800m) |
| 交通 | 電車:中央本線下諏訪駅 距離1500m 徒歩19分 高速道路:長野道 岡谷I.C. 車13分 |
| 備考 | 土地代金:12,723,000円 |
| 都市計画 | 非線引区域 |
| 用途地域 | 1種住居 |
| 地目 | 宅地 |
| 建蔽率 | 60% |
| 容積率 | 200% |
| 下水 | 公共下水道 |
| 接道状況 | 方角:北 道路幅員:4.5m |
| 設備 | 建築条件なし・分割可・プロパンガス・上水道・下水道 |
| 取引態様 | 売主 |
| 手数料 | 不要 |
| 引渡し/入居日 | 相談 |
| 物件番号 | 442043 |
| 最終更新日 | 2026-04-05 |

























